Listing Tools

Welcome to Fair-Fields Business Park, where opportunity awaits with convenient access to Interstate 95 in Fairfield, Maine. This prime 18 acre lot is ready for development, offering industrial zoning and all the necessary utilities including power, water, and sewer available at the roadside. With its strategic location, this is the perfect spot to build your new manufacturing facility, warehouse, and/or distribution center. This parcel includes road frontage on both the Ridge Road and Sheridan Drive. The highway provides easy access to southern and northern points of interest, including major cities such as Augusta, Portland, Bangor, and beyond. Don't miss out on this incredible opportunity to secure a prime industrial lot in a highly sought-after location. Schedule your showing today and take the first step towards realizing your business goals in Fair-Fields Business Park.

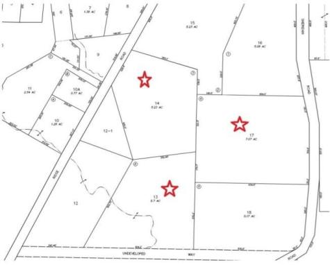
Property Details of Map 36 Lots 13, 14 & 17 Sheridan Drive

Property Details

Exterior Features

Utilities and Appliances

Map Location

Driving Directions

Listed by RE/MAX Infinity

Listing data is derived in whole or in part from the Maine IDX & is for consumers' personal, non commercial use only. Dimensions are approximate and not guaranteed. All data should be independently verified. ©2026 Maine Real Estate Information System, Inc. All Rights Reserved. equal opportunity housing logo   Privacy Policy

Mallett Real Estate participates in ©2026 Maine Listings Internet Data Exchange program, allowing us to display other Maine IDX Participants' listings. This website does not display complete listings. Certain listings of other real estate brokerage firms have been excluded. Mortgage figures are estimates. Check with your bank or proposed mortgage company for actual interest rates. This product uses the FRED® API but is not endorsed or certified by the Federal Reserve Bank of St. Louis.

I agree to receive marketing and customer service calls and text messages from Mallett Real Estate. To opt out, you can reply 'stop' at any time or click the unsubscribe link in the emails. Consent is not a condition of purchase. Msg/data rates may apply. Msg frequency varies. Privacy Policy.

Do not fill in this field:

This site is protected by reCAPTCHA and the Google Privacy Policy and Terms of Service apply.

Do not fill in this field:

This site is protected by reCAPTCHA and the Google Privacy Policy and Terms of Service apply.

Do not fill in this field:

This site is protected by reCAPTCHA and the Google Privacy Policy and Terms of Service apply.

Do not fill in this field:

This site is protected by reCAPTCHA and the Google Privacy Policy and Terms of Service apply.

Do not fill in this field:

This site is protected by reCAPTCHA and the Google Privacy Policy and Terms of Service apply.

Do not fill in this field:

This site is protected by reCAPTCHA and the Google Privacy Policy and Terms of Service apply.

$

Do not fill in this field:

This site is protected by reCAPTCHA and the Google Privacy Policy and Terms of Service apply.